Goodman Commerce Center
At A Glance
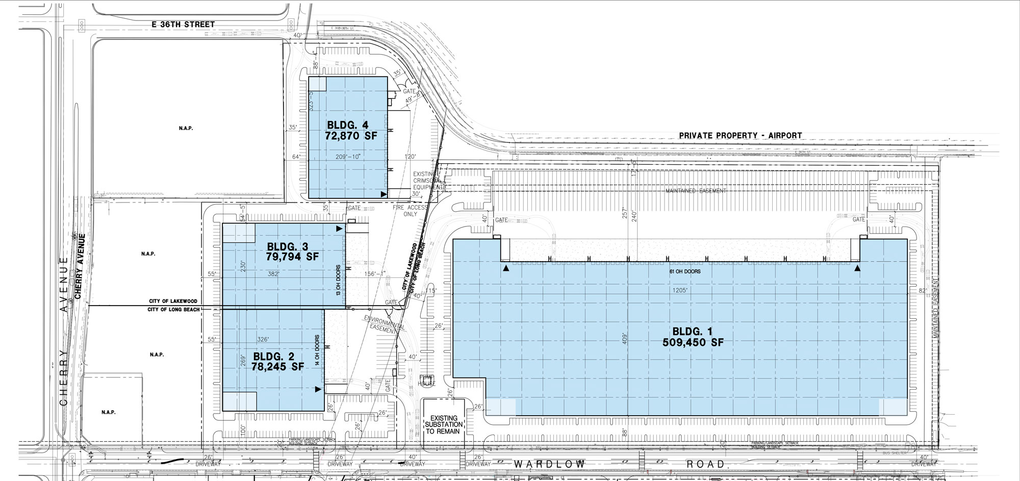
Location
Long Beach, CA
Client
Goodman
Size
504,644 sf
Category
Business Park
Project Description
The GCC LB is a speculative Class A development located in Long Beach, California, encompassing 504,644 square feet—including office space with mezzanine at the southwest corner—situated on a 23.91-acre site. This state-of-the-art facility is designed to accommodate a wide range of uses permitted under the Globemaster Corridor Specific Plan, making it an ideal choice for diverse commercial and industrial operations.













